19203 Cajalco RoadPerris, CA 92570
Due to the health concerns created by Coronavirus we are offering personal 1-1 online video walkthough tours where possible.




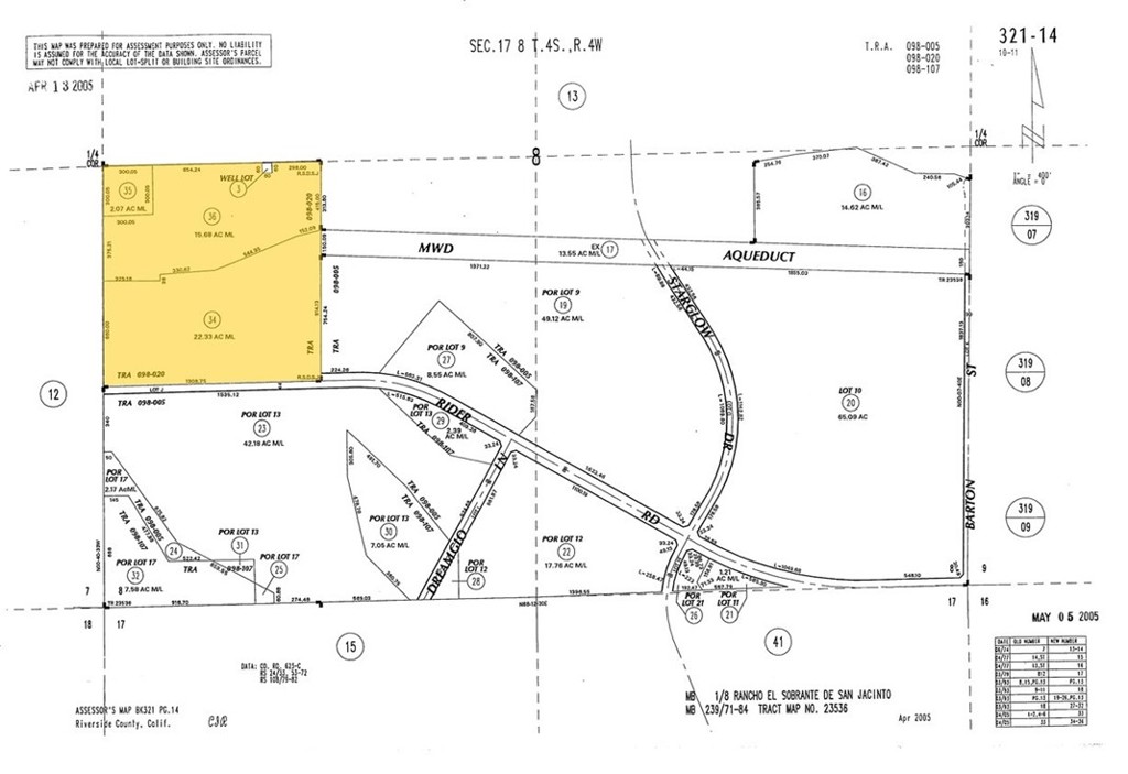
An extraordinary investment opportunity awaits with this rare property package consisting of 4 separate parcels zoned Residential Agricultural 1/2. With over 1,300 feet of prime frontage along both Cajalco Road and Wood Road, the possibilities are truly endless. The front corner parcel includes a well with pump, and with the MWD aqueduct running directly under the property, water access is virtually unlimited — an invaluable resource for future development or agricultural use. The seller has already initiated the rezoning process for potential gas station/commercial use, opening the door to a wide range of development opportunities. Alternatively, the property could be subdivided into 1/2-acre residential lots, ideal for single-family residences. Currently, there are two single-family homes on the property that could be repaired, rented, or repurposed — adding immediate income potential while development plans are underway. Whether you envision commercial development, residential subdivision, agricultural use, or a long-term investment, 19203 Cajalco Road offers unmatched scale, infrastructure advantages, and flexibility in a high-growth area of Riverside County.
| 7 months ago | Listing first seen on site | |
| 7 months ago | Listing updated with changes from the MLS® |
This information is for your personal, non-commercial use and may not be used for any purpose other than to identify prospective properties you may be interested in purchasing. The display of MLS data is usually deemed reliable but is NOT guaranteed accurate by the MLS. Buyers are responsible for verifying the accuracy of all information and should investigate the data themselves or retain appropriate professionals. Information from sources other than the Listing Agent may have been included in the MLS data. Unless otherwise specified in writing, the Broker/Agent has not and will not verify any information obtained from other sources. The Broker/Agent providing the information contained herein may or may not have been the Listing and/or Selling Agent.
Did you know? You can invite friends and family to your search. They can join your search, rate and discuss listings with you.